欢迎光临官网!专业(可程式恒温恒湿试验箱)、冷热冲击试验箱、高低温试验箱及VOC环境舱厂家。
恒温恒湿试验箱源头制造商高新技术企业 欧盟标准 双效合一
全国咨询热线:15322932685
当前位置: 首页 > > 试验标准

《SJ/T 11461.5.1-2013 有机发光二极管显示器 第5-1部分:环境试验方法》标准

时间:2024-01-27 09:03:39 作者:小编 点击:

SJ/T 11461.5.1-2013是关于有机发光二极管显示器(OLED)的环境试验方法的标准,该标准详细规定了有机发光二极管显示器在各种环境条件下的测试要求和方法。


一、范围:
SJ/T 11461 的本部分规定了评价有机发光二极管 (OLED) 显示屏和模块的机械耐久性及包装运输的试验方法,同时尽可能考虑到IEC 60068 中规定的环境试验方法 。本部分是为评价OLED 显示器件机械耐久性能而确定的统一优选试验方法。

本部分规定了两类机械试验,一类与包装运输环境有关。振动、冲击、静态强度、四点弯折和剥产落试验适用于包装运输环境。此外,机械试验也可按照应用应用类别进行规定,如手机、便携式电脑、显示器和大尺寸电视应用类别。因样品尺寸或应用类别需特殊考虑或有限条件的试验方法应在标准中注明。


二、试验项目:
振动试验、冲击试验、运输跌落试验等。


三、试验设备:
跌落试验机振动试验机、冲击试验台等。


四、设备厂商:

《SJ/T 11461.5.1-2013 有机发光二极管显示器 第5-1部分:环境试验方法》标准(图1)


五、试验程序(部分):

运输跌落试验:

试验包装箱应装满手机或笔记本电脑用OLED 模块或显示屏,如果试验样品的数量不足未能填满包装箱,则可用无机械缺陷的虚拟样本填补。确保试验包装箱正常封装,如同发货状态。相关规范应给出试验样品的包装数量。

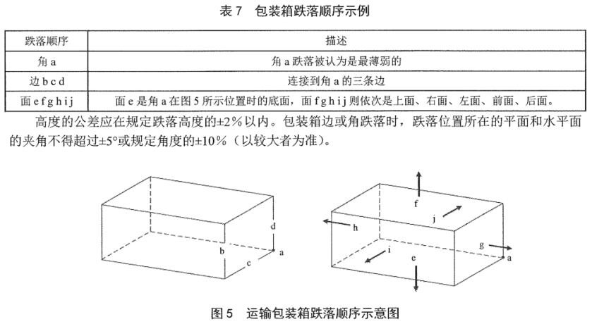
在大气条件、跌落高度和包装状态都已规定的情况下,试验包装箱置于所需的跌落高度位置,释放包装箱使其自由落体并碰撞刚性表面。按照 ISO 2248:1985 第 7 章和附录的规定,及 ISO 2206 给出的标识方法,试验包装箱应进行面、棱和角跌落三种基本跌落方式。一种跌落方式进行多次试验,或 2 个~3个组合跌落方式的试验,适用于检测产品在运输和装卸过程中承受各种垂直碰撞的机械耐久性 。
表7 给出的是移动用 OLED 产品运输包装箱跌落方式的试验顺序。

《SJ/T 11461.5.1-2013 有机发光二极管显示器 第5-1部分:环境试验方法》标准(图2)


标签: 检测标准

相关文章/ Related Articles
Baidu
map